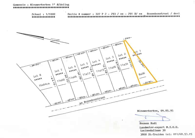
BOUWGROND VOOR OPEN BEBOUWING VAN 8A06CA OP TOPLOCATIE TE NIEUWERKERKEN!Deze bouwgrond, gekend als lot 1 van een goedgekeurde verkaveling is acht are zes centiare groot en bevindt zicht net buiten het centrum van Nieuwerkerken op...
In het landelijke Nieuwerkerken vind je deze vier ruime bouwgronden. Dit zijn bouwgronden zonder bouwverplichting: hier bouw je op je eigen tempo en met je eigen architect en aannemer jouw thuis om van te houden...